420m²

Área total

Valor do imóvel

R$ 38.000

Terreno para Investimento em Itapoá - Possível parcelamento Direto com o Proprietário no Balneário Veredas

Ref: TV100

Sobre este imóvel

Terreno para Investimento ? Balneário Veredas, Itapoá/SC
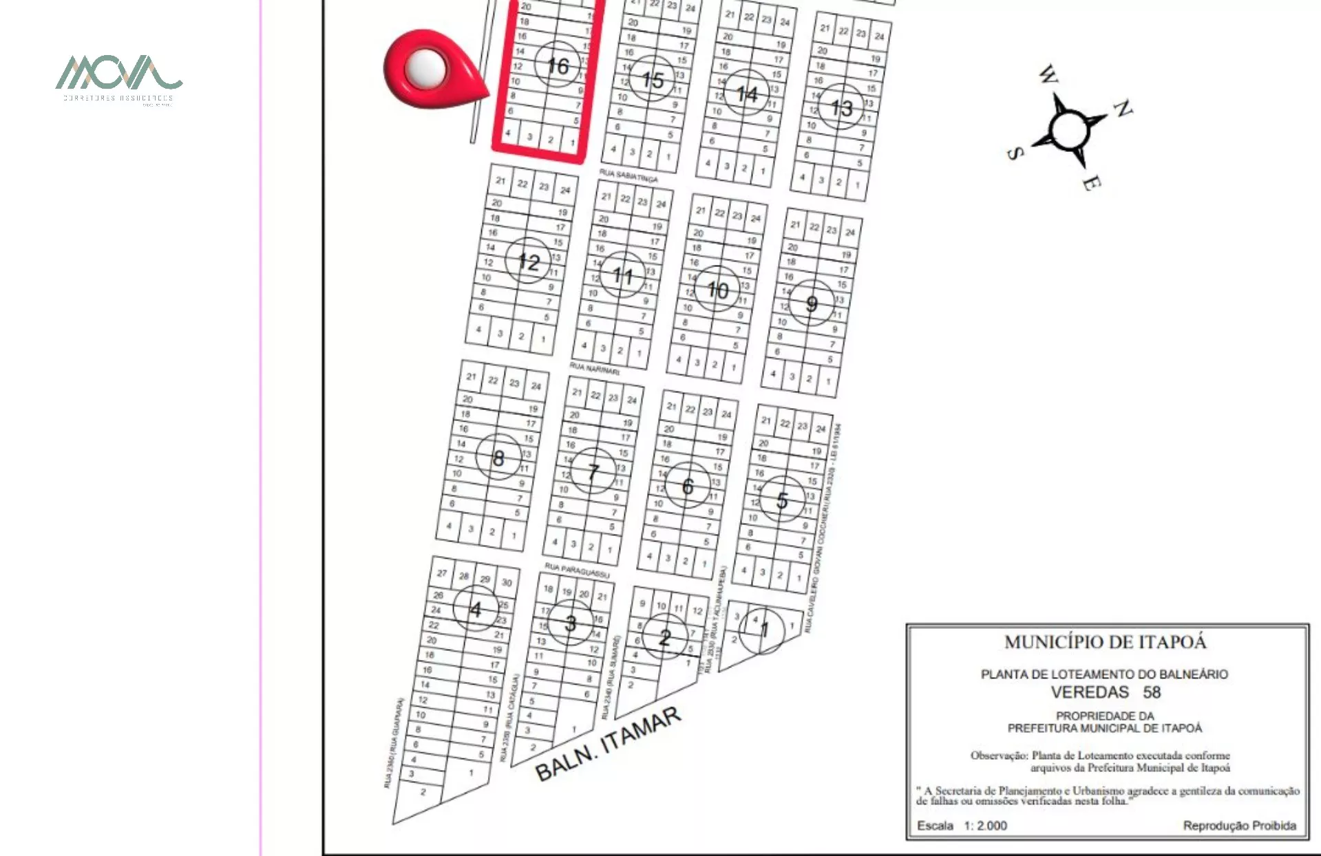
Localização: Rua 2360, s/n°, Quadra 16, Lote 08.
Metragem: 12m x 35m = 420m².
Face: Sul.
Condição: Com vegetação e sem rua aberta.

Oportunidade de Investimento! Terreno ideal para quem busca valorização a jmédio e longo prazo, em uma área estratégica de Itapoá. Excelente para quem deseja investir em uma região com potencial de crescimento.

Importante: Os valores podem sofrer alterações sem aviso prévio.

Zoneamento:
Zona de Serviços I
Potencial Construtivo: 1,25 (total 630m² de área construída)
Recuo Frontal: 5 metros
Uso Permitido: Comércio e serviço setorial, comércio e serviço geral, Indústria tipo 1 e 2.
Uso Permissível: Comércio e serviços específicos, habitação unifamiliar, e Indústria tipo 3.
Uso Proibido: Todos os demais.

Documentação: Terreno devidamente registrado, com cadastro municipal n°286142.
Invista em um futuro promissor em Itapoá! Essa é a sua chance de adquirir um terreno com condições exclusivas de parcelamento direto com o proprietário.

Localização

Rua 2320, s/n

Bamerindus - Itapoá - SC

Características

Área total: 420.00m²

Área do terreno: 420.00m²

Bonificação: Sim

Lote: 08

Quadra: 16

Valor bruto: 40000.0000

Você também pode gostar

Terreno Beira Mar em Itapoá, limpo, aterrado e murado!

Bamerindus

Ref: TE116

R$ 1.910.000

1160m²

Área

TERRENO DE ESQUINA com 432m², Rua 2350, n°745, Balneário Itamar - COM LICENÇA AMBIENTAL

Bamerindus

Ref: TE129

R$ 180.000

432m²

Área

Terreno Limpo e Demarcado a 3 Quadras do Asfalto no Balneário Uirapuru - Pronto para Construir!

Bamerindus

Ref: TEUIR01

Sob consulta

384m²

Área

Excelente oportunidade de investimento no Balneário Uirapuru!

Bamerindus

Ref: M005

R$ 160.000

384m²

Área

FIQUE POR DENTRO

Blog Imobiliária Mova

Dados de Contato